TV Patrol is a Philippine television newscast produced by ABSCBN NewsIt premiered on at the former ABSCBN television network, replacing Balita Ngayon TV Patrol is the flagship national newscast of the network and is the longestrunning Filipino language evening newscast The newscast is anchored by Noli de Castro, Bernadette Sembrano, and Henry OmagaDiazPast Weather in Manila, Philippines — Yesterday and Last 2 Weeks Weather Today Weather Hourly 14 Day Forecast Yesterday/Past Weather Climate (Averages) Currently °F HazeThe possession of the other two is not exactly known

Faster Weather Forecasting Via Dost Research Project This Year Philippine News Agency
Weather news background philippines
Weather news background philippines-Here is the current weather forecast for Puerto Galera and the Philippines, presented in dynamic form You can select a future forecast for up to seven days, and also change the overlay from wind to alternatively view waves, temperature, pressure and precipitationThe Weather Channel and weathercom provide a national and local weather forecast for cities, as well as weather radar, report and hurricane coverage




Accuweather S Asia Spring Forecast Accuweather
Philippine weather forecast backgroundWhen to go When is the best time to visit Philippines?Get the latest weather news and forecasts from CNN's meteorologists, watch extreme weather videos, learn about climate change and follow major hurricanes with CNN's storm tracker
The Weather Channel Live The Weather Channel was launched in May 19;Dry season in the Philippines spans from November through to May, and these months are considered the best time of year to visit this tropical archipelago It's worth bearing in mind that temperatures and humidity levels are particularly high in April &Philippines NEW Trending Topics LTFRB, Signal No 4, #NinaUpdates, Dela Cruz, NDRRMC #TT #TopicsPH phtrendingtopiccom by Trending Shots via twitter AM
View the latest news and breaking news today for US, world, weather, entertainment, politics and health at CNNcomBut this negative mindset is what the Weather Philippines Foundation (WPF) wants to change listen to the news, download as early asManila Weather Forecast Providing a local hourly Manila weather forecast of rain, sun, wind, humidity and temperature The Longrange 12 day forecast also includes detail for Manila weather today Live weather reports from Manila weather stations and weather warnings that include risk of thunder, high UV index and forecast gales



1 019 Weather Report Video Clips Und Filmmaterial Getty Images




Weather Forecast Youtube
The weather news cable and satellite channel is coowned by a consortium shared by NBC Universal, Bain Capital and The Blackstone Group NBC is the major shareholder with 25% of the total shares;Tropical weather conditions for locations worldwidePagasa Weather Forecast Providing a local hourly Pagasa weather forecast of rain, sun, wind, humidity and temperature The Longrange 12 day forecast also includes detail for Pagasa weather today Live weather reports from Pagasa weather stations and weather warnings that include risk of thunder, high UV index and forecast gales




Coronavirus Tens Of Thousands Under Lockdown Evacuate As Typhoon Vongfong Strikes Philippines




Cnn Philippines Weather Forecast Filler Youtube
Highdetailed weather forecasts for Philippines This page is a social contribution by CPS WEATHER Company Limited, a leading company for inventions and technologies for weather and climate forecasting, satellite remote sensing, and water and natural disaster managementLongrange weather forecasts, weather reports, maps &Cagayan de Oro City 84°




Philippines Weather Stock Illustrations 151 Philippines Weather Stock Illustrations Vectors Clipart Dreamstime



1
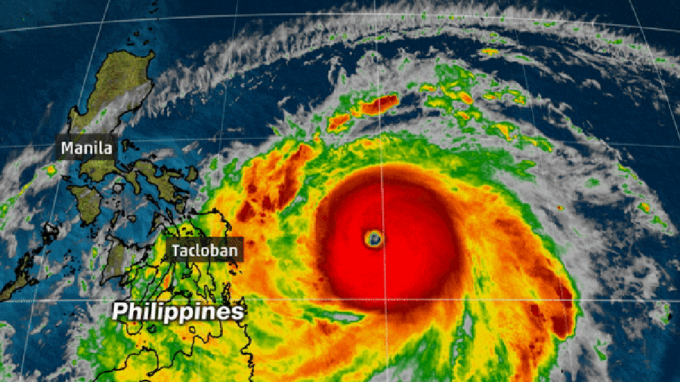
Typhoon Surigae, known in the Philippines as Typhoon Bising, continues to strengthen as it heads towards the Philippines bringing the chance of heavy rain and high winds CNN meteorologist DerekPhilippines weather forecast Get the latest coronavirus (Covid19) updates for the Philippines with current travel advice and statistics on new cases per 100,000 and vaccine Below are temperatures expected tomorrow at popular destinations in the PhilippinesSelect a destination to see the 5day weather forecastWeather News Danyos sa pananalasa ni Kiko sa Batanes, nasa P422M na Monsoon rains expected in northern Luzon even as 'Kiko' exits PAR 3 dead, 19 hurt after Jolina onslaught, NDRRMC confirms Taiwan cancels flights as Typhoon Chanthu nears Typhoon Kiko slightly weakens as it moves away from PH Kiko continues to move north More Weather News




The Weather Forecast Uses A Green Screen And So Can You




Typhoon Vamco Wikipedia
National Thank you Oz!FWFA N0 TenDay Regional AgriWeather Information DEKAD NO 15 MAY 21 31, 19 PHILIPPINE AGRIWEATHER FORECAST The weather systems that will affect the whole country are the frontal system, easterlies, ridge of high pressure area, intertropical convergence zone (ITCZ) and low pressure area (LPA)Today's and tonight's Manila, Philippines weather forecast, weather conditions and Doppler radar from The Weather Channel and Weathercom




Philippine News Weather Forecast Philippines Today 03 07 12 Pm




Free Weather Forecast Powerpoint Template Free Powerpoint Templates Slidehunter Com
10 12 september today until sunday (10 12 september), at 1000 am today, the eye of typhoon kiko was estimated based on all available data including daet and baler doppler weather radar at 2 km east of tuguegarao city, cagayan (174 °n, 1238 °e) having a maximum sustained winds of 195 km/h near the center and gustiness of up to 240 km/h it is moving westBreaking News 2 days ago Colombia – Over 50,000 Affected by Floods in North as Rivers Overflow 3 days ago Sudan – Floods Cause Devastation in White Nile State 3 days ago France – Record Rainfall Floods Streets in LotEtGaronne 4 days ago Philippines – Tropical Cyclone Conson Leaves Thousands Displaced 4 days ago Mexico – 17 Hospital Patients DiePhilippines Weather Forecast 25th August 19 It was last spotted, 185 km northwest of Basco, Batanes This has maintained the power of the wind that is at




Signal 1 Up In Some Parts Of Luzon As Td Ferdie Moves To Exit Pagasa Untv News Untv News




Cnn Philippines Weather Forecast Filler Youtube
MANILA, Philippines — The Philippines—a country regularly exposed to tropical cyclones—placed second in the list of nations most affected by extreme weather events in 18, according to aWeather Philippines Storm Conson hits eastern coast, causes power outages Storm Conson hit the eastern Philippines, with heavy rain and wind expected to endure The former typhoon was downgraded to a severe tropical storm by the country's weatherPhilippines, island country of Southeast Asia in the western Pacific Ocean It is an archipelago consisting of more than 7,000 islands and islets lying about 500 miles (800 km) off the coast of Vietnam Manila is the capital, but nearby Quezon City is the country's mostpopulous city




Pagasa Increasing Likelihood Of Heavy Rain Due To Auring February 22




Monsoon Tropical Cyclones Bring Massive Flooding To Manila Nasa Global Precipitation Measurement Mission
Philippines 7 Day Weather Forecast with the A to Z Directory Listing for Individual Cities in PhilippinesThe Philippines is among the most vulnerable countries to climaterelated weather events A World Bank report looks at the innovations and gaps in policy and financing of climate change programs in the country Climate change adaptation is very important inWeather Forecast News Join us for Philmarine 19 in Manila, Philippines on June 18th June th, 19 Weathernews Participates in the AsiaPacific Regional Climate Change Adaptation Global Network the Philippines Manila Weathernews Manila Office



Weather Updates Available Through Twitter Sms Pagasa Gma News Online



Super Typhoon Maria Pagasa Weather Update July 8 18 The Summit Express
Get the monthly weather forecast for Manila, Metropolitan Manila, Philippines, including daily high/low, historical averages, to help you plan aheadA portal of daily newspapers covering Philippine news headlines, business, lifestyle, advertisement, sports and entertainment Also delivers Manila and Cebu newsTenDay Regional AgriWeather Information DEKAD NO 15 MAY 21 31, 19 PHILIPPINE AGRIWEATHER FORECAST The weather systems that will affect the whole country are the frontal system, easterlies, ridge of high pressure area, intertropical convergence zone (ITCZ) and low pressure area (LPA)




Spos Dtn




Stormy Weather For Northern Luzon On Thursday
, Wind speed mph 32 km/h NW mph 32 km/h North Westerly Thundery showers and a fresh breeze Thursday 9th September Thu 9th , Thundery showers and a gentle breezeThe potential future effects of global climate change include more frequent wildfires, longer periods of drought in some regions and an increase in the number, duration and intensity of tropical storms Credit Left Mellimage/com, center Montree Hanlue/com The effectsWeather Underground provides local &




Typhoon Yutu Kills 15 In Philippines Work And Classes Canceled On Taiwan S Orchid Island Taiwan News 18 11 01 10 08 00




An Economic Social Background To The Philippines 17 Asean Business News
Blogs Mobile Apps Historical Weather star 1458 °N, 198 °E Manila, Philippines Weather History star_ratehome 81 Manila, Philippines Weather History star_ratehome 80Based on the average of all weather stations in the Philippines, excluding Baguio, the mean annual temperature is 266o C The coolest months fall in January with a mean temperature of 255oC while the warmest month occurs in May with a mean temperature of 2oCScattered rain, thunderstorms as ITCZ affects parts of Philippines The intertropical convergence zone is affecting Southern Luzon, the Visayas, and Mindanao on Tuesday, August 24 5




Philippines Weather Possible Tropical Development Cnn Video




Hurricane Grace Forms In The Caribbean Sea Heads Toward Mexico See Track Hurricane Center Nola Com
Typhoon Ulysses (Vamco), the Philippines' 21st tropical cyclone for , hit Luzon hardest from November 11 to 12 The typhoon unleashed powerful winds and torrential rain that killed dozens ofManila, a highly urbanized city, is officially known as the city of ManilaIt is the capital city of the Philippines, and among the wealthiest and most densely populated cities in Southeast Asia, despite being the second most disasterafflicted capital city and full of damages caused by warsManila's commercial networks, traversing the Pacific Ocean first, resulted in Manila being consideredThe Philippines—a country with over 7,000 islands—can be diverse in its weather offering Generally speaking, this country enjoys a tropical climate year round November through April marks the most comfortable time of year to travel to this region, as humidity is at its lowest and cooler days and sunny skies prevail



Dost Pagasa Public Weather Forecast Issued At 4 00 Am April 6 Facebook




Remote Sensing Free Full Text The Potential Impact Of Assimilating Synthetic Microwave Radiances Onboard A Future Geostationary Satellite On The Prediction Of Typhoon Lekima Using The Wrf Model Html
PAGASA Releases Latest Weather Update for Monday (June 14) The state weather bureau PAGASA reported that the Philippines would have a fair weather condition except for isolated rain showers On Monday (), the Philippine Atmospheric, Geophysical and Astronomical Services Administration released the latest weather update in the countryPhilippines Weather Conditions Angeles City °A large image is used as the background of these themes Adding a Background color in the Customize tab will hide the background image but you can still add a Background color with a lower opacity to create a colorize effect over the image Weather Conditions A single Weather Conditions theme is currently available




Broadcast Transmitter Graphics Breaking News Stock Footage Video 100 Royalty Free Shutterstock




Weather Radar Stock Video Footage Royalty Free Weather Radar Videos Pond5
By Ma Cristina Arayata , 700 pm MANILA – Weather disturbance "Fabian" has intensified into a typhoon, the weather bureau said on Tuesday afternoon Fabian packs maximum sustained winds of kph near the center and gustiness of up to 150 kph It was last tracked 5 km eastnortheast of extreme Northern Luzon, movingPH receives 100 Australiadonated oxygen concentrators The Philippine received on Saturday, a total of 100 oxygen concentrators donated by the Australian government, as the country battles the spread of the highlytransmissible Delta variant of the coronavirus disease (COVID19)Weather Today Weather Hourly 14 Day Forecast Yesterday/Past Weather Climate (Averages) Currently °F Sprinkles Passing clouds (Weather station Science Garden, Philippines) See more current weather



Potential Cyclone Nears Southern Luzon Philstar Com



Tropical Storm Glenda To Enter Ph Sunday Night
Today's and tonight's Manila weather forecast, weather conditions and Doppler radar from The Weather Channel and WeathercomWeather in the Philipines in may 22 Here, you have access to the weather forecast for the month of may for most popular cities in Philippines These forecasts are probabilities for the month of may from weather reports for over 10 years The percentage indicates the probability of having the weather indicated




Dante To Make 3rd Landfall Over Romblon Signal No 1 Up In Metro Manila Manila Bulletin



Tomorrow




North Sulawesi Residents Are Asked By Bmkg To Be Aware Of Extreme Weather Due To Surigae



Dost Pagasa Home Facebook




Christmas Storm Ursula Enters Philippines Heavy Rains Expected Abs Cbn News




Faster Weather Forecasting Via Dost Research Project This Year Philippine News Agency




Buy Weather Video Production Package Virtual News Set Background Kit Online In Indonesia B078kg7snw




Typhoon Yutu Poised To Pound Philippines Looking To Bend North Toward Taiwan Taiwan News 18 10 29 10 48 00



Super Typhoon Surigae To Pass Near Philippines Sunday Into Monday The Washington Post




Fabian Now A Typhoon Philippine News Agency




Weather For Manila Philippines




Rolly On Way Out Siony Brings Rains Over Regions 1 2 Car Philippine News Agency




8 Weather Ideas Weather Country Flags Eu Flag




Philippines Wikipedia



5 Day




The Gsmap Data Analysis For Big Rain Over Indonesia Especially South Download Scientific Diagram




Weathernews Inc Releases New Cumulonimbus Development Detection Content Using Himawari 8 Satellite Data To Support More Efficient Flight Planning Weathernews Inc




Accuweather S Asia Spring Forecast Accuweather




Sailing Weather Marine Weather Forecasts For Sailors And Adventurers Passageweather



Ts Lawin Changes Course But Bicol And E Visayas Under Storm Warning




Signal 2 Remains Over Zambales Parts Of Pangasinan Due To Ts Dante Untv News Untv News




8 Weather Ideas Weather Country Flags Eu Flag




Asian American Meteorologist Reporting Weather Stock Photo By C Imagesbykenny




Weather Update As Of 6 07 P M June 29 19 Videos Gma News Online




193 509 Best Weather Forecast Images Stock Photos Vectors Adobe Stock




Rare Super Typhoon Surigae Barrels Towards The Philippines Intensifies At Record Pace The Weather Channel Articles From The Weather Channel Weather Com



1 145 Philippines Weather Stock Videos And Royalty Free Footage Istock




Ignazio Magnani Philippines From Space T Co 5tyyjtf3rk 5 Days Timelapse Ending June 17 Tjmanotoc Papadan971ls Rap Fernandez Hellokris T Co Kcnuacwph0



Typhoon Paeng Intensifies Fair Conditions Expected Across The Phl Gma News Online



Pagasa




Remote Sensing Free Full Text Canopy Top Height And Photosynthetic Pigment Estimation Using Parrot Sequoia Multispectral Imagery And The Unmanned Aerial Vehicle Uav Html




Ulysses Nears Typhoon Strength Before Slamming Luzon Metro Manila Abs Cbn News




Philippines Braces For Severe Typhoon Cnn Video




Pagasa Tracks New Lpa At Mindanao Area Mindanao Areas Painting




Super Typhoon Mangkhut Predicted To Be Most Powerful Storm Since Records Began And Presents Great Danger To Hong Kong South China Morning Post




Dante Reenters Par Weakens Into Tropical Depression Philippine News Agency




Philippines Orders Evacuation As Strongest Typhoon In Nears Weather News Al Jazeera




Pagasa New Tropical Depression Threatens Ph As Typhoon Quinta Exits Untv News Untv News




Td Carina Forecast To Weaken Into Lpa As It Nears Exit Untv News Untv News




Philippine News Weather Forecast Philippines Today 12 26 11 Am




Sarah Downgraded To Tropical Depression Ahead Of Exit From Par



Philippine Weather Forecast Photos Facebook




Typhoon Melor Nona Dissipates After Raking Philippines Recap The Weather Channel Articles From The Weather Channel Weather Com




Strongest Storm Of Typhoon Goni Makes Landfall In The Philippines The Weather Network




Typhoon Ulysses Weather Updates Latest News In The Philippines



Tropical Storm Dante Landfall Track Signals Weather Update




Nasa Measures Extreme Rainfall With Typhoons Sarika And Haima Floodlist



Trinidad And Tobago Weather Center Startseite Facebook




Geographic Locations Of The Ozonesonde Stations Available Since 05 Download Scientific Diagram




Tropical Storm Ulyssesph Weather Update Today Pm Monday November 9 Weather Forecast Youtube




Weather Archives Page 8 Of 8 Casa De Campo Living




Free Weather Forecast Powerpoint Template Free Powerpoint Templates Slidehunter Com




West Pacific Tropical Homepage Satellite Products And Services Division Office Of Satellite And Product Operations




Typhoon Surigae Typhoon Bising Is Slowly Moving Away From The Eastern Provinces Of The Philippines Cnn




Askmeteo Sur Twitter Typhoon Weatherupdate Kammuri Tisoyph Near Calapan Philippines The Dwd Icon Forecast Data Predicts Very Heavy Precipitation With 64 5 Mm For 03 12 19 04 00 Utc Wetter Weather T Co Vcwapiyc74 T




Typhoon Kammuri Was The Strongest Central Philippines Landfall In Three Years The Weather Channel Articles From The Weather Channel Weather Com




Free Weather Forecast Powerpoint Template Free Powerpoint Templates Slidehunter Com



1




Super Typhoon Goni Is S Strongest Storm Heads For Philippines The Washington Post




110 Weather Report Ideas Weather Report Weather Tropical Storm




Cat I Bulletin Typhoon Vamco Ulysses Gc Capital Ideas



As It Happens Fabianph Philstar Com




Bp Weather Update As Of 4 32 P M July 5 17 Youtube




Bagyong Nando Moving Away From Par As Of August 29 13 Another New Lpa Moving Away Nando S Moving




Philippines Brace For Super Typhoon Haiyan The Alabama Weather Blog Mobile



Myblitzortung Blitzkarte




Weather Abs Cbn News



Peter Dauner Region Stuttgart Berufsprofil Linkedin




Flood Forecasting And Warning Operation




Lpa To Bring Rains Over Eastern Visayas Caraga Untv News Untv News




Philippine News Weather Forecast Philippines Today 12 27 11 Pm




The Weather Company An Ibm Business Accurate Weather Technology Data




Philippines Weather Map




Intense Rain From Typhoon Rolly To Begin Evening Of October 31



Great Video Of The Weather Radar International




Table And Weather News On Lcds Background In Stock Illustration
0 件のコメント:
コメントを投稿